Christianity / Life / Current Events / Don't Forget about Jamaica: How to Process, Prioritize, and Pray for the Constant Steam of Disasters

Don't Forget about Jamaica: How to Process, Prioritize, and Pray for the Constant Steam of Disasters

Our faith was made for moments like this. If you’re overwhelmed by the world’s needs, this is a clear call to pray, trust God’s timing, and move with eternal purpose.

Published Nov 26, 2025
Don't Forget about Jamaica: How to Process, Prioritize, and Pray for the Constant Steam of Disasters

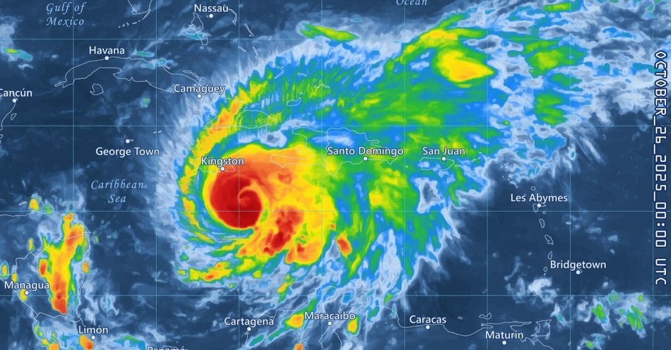
On October 28, 2025, the powerful Category 5 storm Hurricane Melissa made landfall in western Jamaica, then swept through eastern Cuba and battered Haiti with torrential rain and destructive winds. The confirmed death toll in Jamaica rose to 45, with 15 missing, thousands of homes destroyed, and tens of thousands displaced. The full scale of the storm’s impact is still unfolding as communities deal with blocked roads, power outages, and the urgent need for shelter and supplies. It is estimated that it will cost Jamaica close to $10 billion to rebuild a heavy financial burden in addition to the physical devastation. 

Families on the island are still struggling, needing support to rebuild and stay safe as they respond to the aftermath of this devastating hurricane. Queens Borough President Richards’ office has partnered with the Consulate General of Jamaica in New York and Irie Jam Radio to start a donation drive to help families that have been impacted by the storm. Now through January 5th, the President’s office is accepting donations. They are asking for medical supplies, hygiene supplies, and household items. These donations will be distributed to the Jamaican people in the coming days.

In the wake of disaster, how do we remain anchored in God when the ground under our feet—our homes, our security, our future—shifts beneath us, and how can our faith become a lifeline for others? We can't help everyone, everywhere ...how do we know where to start and what to do?

In a culture where we are oversaturated with information, it can be easy to dismiss some of the most difficult headlines that we see in the news. We begin to feel helpless because we see so many issues that others face, all of which appear to be much bigger than our ability to help.  Compassion fatigue stunts our ability to get involved. 

The fast pace of the news cycle makes it hard even to remember the suffering of others. Our attention is quickly diverted from one crisis to another, and sometimes we are moving too quickly to even take note of the needs that we could actually respond to. We see a sad headline, sigh, maybe say a prayer, but move on because we don’t really know what else we can be doing. 

We have to be vigilant not to let this fatigue prevent us from being sensitive to the leading of the Holy Spirit. True religion is to care for the widows and orphans (James 1:27). Christ calls his followers to action! We are to be the light in this dark world; there is no way to be a light if we are emotionally paralyzed. 

How do we balance the call to love our neighbor, to be the light in our dark world, and to pursue justice, while still guarding our hearts from the heaviness that can turn us off from caring for the world around us?

The start of this journey is to turn down the irrelevant noise in your life. We cannot process every headline. We cannot respond to every crisis. We don't have the power to correct every injustice. Most of all, we do not need to know everything that happens in our world, and when we spend too much time obsessing over the news cycle, this stunts our ability to respond to needs effectively. God is holding our world in his hands; we have to trust him to lead us towards the needs that we are called to meet and trust that he has a plan to be there for the needs we do not have the power to personally get involved in. 

Pray for Wisdom in a Chaotic World

Remember, God’s Spirit is our helper and our guide. God is a lamp for our feet and a light for our path (Psalm 119:105). As believers, we activate God’s Holy Spirit in our lives through prayer and intercession (Ephesians 6:18). In the wake of tragic headlines, the first thing we can do to respond is to pray. 

Ask God to open doors for you to be an agent of his love for those who are suffering. You may be called to donate to help those who have lost everything. A chance to travel to Jamaica may arise, and you can aid in the rebuilding efforts. Perhaps you are here to comfort those in your community grappling with how God. Living sensitive to God’s Spirit creates opportunities for our lives to be used in ways that we could never dream up on our own! 

When we pray, we can ask God for his wisdom so we know how to respond. He shows us how to best respond to the chaos in our world; he gently leads us towards his good plan for us and for our world. God’s ways are higher than our ways (Isaiah 55:5-8), meaning that there is no way for our brains to understand the events we see unfolding in our world. We must seek him and trust him in all things. 

A life-changing book is The Sun Does Shine by Anthony Ray Hinton. His words have not left my heart. Anthony urges that after experiencing a life of extreme suffering and injustice, there are some evils we should just never get used to. We can’t get used to seeing others suffer. We should never live so comfortably that we are entirely isolated from the struggles that so many face in our world. We need the Holy Spirit to keep convicting us, keep guiding us, and to keep opening up the strategic doors in our lives for us to respond to the darkness that is so common in our world. 


Quote from an article about Hurricane Melissa in Jamaica

Model Unshakable Faith in an Unstable World

Christianity offers us firm ground to build our lives on in an unstable world. James 1:12 states, “Blessed is the man who remains steadfast under trial, for when he has stood the test he will receive the crown of life, which God has promised to those who love him.” The world will take note of our strength as we respond to tragedy, trials, and tribulations. We can be a safe place for those around us because we are grounded in the truth that God is good and he has a hope and a future planned for us. 

God’s promises offer us the strength and encouragement that we need for life. Isaiah 41:10 declares, “Fear not, for I am with you; be not dismayed, for I am your God; I will strengthen you, I will help you, I will uphold you with my righteous right hand.” These are the words we can hold onto and share with those who are struggling, with a world that is searching and hurting. Don’t be dismayed, those who have lost homes. Don’t be afraid, those of us who are unsure how to handle these disasters. God will help you. He will uphold you with his right hand. He is capable, and he has not forgotten us. The best is yet to come. Graciously, through our prayers and until those better days arrive, we can bring God’s goodness into our reality. 

Be wise and seek God for guidance on how to handle the world's news. Be generous, always willing to get uncomfortable as the hands and feet of God. Stand on God’s word that reminds us that he is always with us. He is always working. We can trust him and live with hope because God is still at work! 

Photo Credit: ©GettyImages/FrankRamspott

SHARE